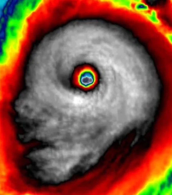
Bauginantis ženklas: likus kelioms akimirkoms iki uraganui Miltonui pasiekiant sausumą, danguje pasirodė kaukolė
(8)Planetą užklupusi klimato krizė ne tik sukėlė pasaulyje karščio bangas, sausras ir gaisrus, bet ir uraganus bei potvynius padarė ekstremalesnius nei bet kada anksčiau.
Mokslininkai perspėjo, kad šiemet mūsų laukia ypač ekstremalus uraganų sezonas, o įvardytų audrų skaičius bus toks didelis, kad vos spėsime vardinti, rašo „Daily Mail“.
Viena iš tokių ekstremalių audrų buvo uraganas Miltonas, kuris per mažiau nei 24 valandas iš silpnos audros tapo dideliu 5 kategorijos uraganu.
Spalio 10 d. uraganas Miltonas smogė Floridai, kaip ir tikėjosi meteorologai.
Dabar „Weather Channel“ vyresnysis meteorologas Stu Ostro pasidalijo šiurpia nuotrauka, atskleidžiančia, kad likus vos kelioms akimirkoms iki uragano smūgio Floridai, jis įgavo kaukolės formą.
Beje, kažkas panašaus nutiko ir 2016 m., kai uraganas „Matthew“ įgavo panašią formą.
Atrodo, kad nuotraukoje matyti, kaip uraganas Miltonas „žiūri į mus su šiurpia šypsena“ prieš pūsdamasis į įlanką ir judėdamas Floridos link.
Grėsmingas vaizdas pasirodė likus kelioms akimirkoms iki to, kai Miltonas pasiekė sausumą valstijoje ir sukėlė niokojančius potvynius ir vėją. Internete taip pat pasirodė palydovinio radaro vaizdo įrašas, kuriame matyti, kada uraganas „Milton“ virto grėsminga forma.
Įdomu tai, kad ekspertai uraganą Milton anksčiau apibūdino kaip „monstrišką“ uraganą, todėl palydovinė nuotrauka tam dar labiau tinka.
Yra žinoma, kad uraganas trečiadienio naktį kaip trečios kategorijos audra smogė pakrantei netoli Sarasotos.
Jis sukėlė apie 150 tornadų ir valstijoje išpylė iki 50 centimetrų lietaus, o vėjo gūsiai siekė daugiau nei 160 kilometrų per valandą greitį.
Uragano padariniai vis dar skaičiuojami, tačiau žinoma, kad milijonai žmonių Floridoje vis dar neturi elektros.
Vis dėlto ekspertai pažymi, kad vis dar nežinomas visas žalos mastas, tačiau pranešimuose nurodoma, kad padaryta didelė žala, nutrauktos elektros perdavimo linijos ir sugriauti namai.
Ketvirtadienį audra atsitraukė į jūrą, tačiau mokslininkai įspėja, kad pavojus dar nesibaigė.
Tiesą sakant, uraganas „Milton“ vis dar gali užtvindyti dalį vietinės pakrantės.
Šaltinis: focus.ua

Rašyti komentarą